Bicycle Safety Guide and Countermeasure Selection System

 

Design option for bicyclist crossing at a high-speed exit ramp. Illustration from Oregon Bicycle and Pedestrian Design Guide, Oregon DOT


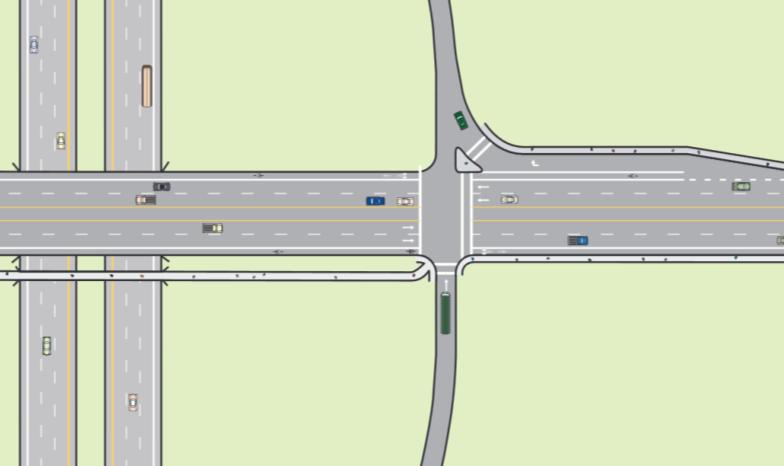
Illustration from Oregon Bicycle and Pedestrian Design Guide, Oregon DOT Designing interchange ramps at 90 degrees improves bicyclist safety through reduced intersection exposure and speeds.
Illustration from Oregon Bicycle and Pedestrian Design Guide, Oregon DOT

 

 

 

Merge and Weave Area Redesign

Interchanges and large intersections can be particularly challenging and dangerous places for bicyclists due to the high speeds and conflicts typically associated with the free-flow and yield-controlled conditions these locations. Often, these are locations with high traffic volumes and speeds, and a lower driver expectation of bicyclists. These locations are also often pinch points in the network where bicyclists have few other options to navigate across a busy road or freeway.

For the merge lane or entrance lane situation, several problems for bicyclists exist:

  • The angle of approach creates visibility problems.
  • Motor vehicles are accelerating to merge with traffic on the main road.
  • Motor vehicles are typically traveling much faster than bicycles.

Similar problems exist for the exit lane situation:

  • Motor vehicles are often exiting at high speeds.
  • The exit angle creates visibility problems.
  • Exiting drivers may not use their turn signal to indicate their desired movement.

Redesigning these ramps to intersect closer to 90� intersections can help improve the visibility of bicyclists, slow the turning speed of vehicles, and greatly reduce the conflict zone where bicyclists and motorists interact.

If ramps cannot be designed so that they intersect in such a way that they operate similar to intersections, consider emphasizing the conflict zone between merging vehicles and through-moving bicyclists with the use of colored pavement or other pavement markings, in accordance with the MUTCD. Another design option is to curve the bike lane within the gore so that it crosses the ramp at a right angle, thus creating a shorter crossing distance, improving sight distance for both bicyclists and motorists, and putting the crossing where the drivers attention will be focused.

Additional challenges for bicyclists include double left- and right-turns. Local geometric design tailoring or signal timing improvements may be needed on streets with these characteristics that also have a considerable number of bicyclists in the traffic stream.

Purpose

Improving markings and geometric design of turn lanes, intersections, arterials, and urban parkways provides for safer merging of bicycles with motor vehicle traffic. Improved sight distance and awareness can also mitigate conflicts at entry and exit ramps.

Considerations

  • Where entry and exit ramp revisions are to be considered, the road or street should be evaluated to determine if appropriate for this facility.
  • Interchange ramps should be designed as intersections to reduce motor vehicle speeds, improve sight distance, and reduce the exposure to bicyclists in these conflict areas.
  • Determine if other sight distance improvements need to be made.
  • Try to avoid double left- and double right-turn situations for bicyclists.

Estimated Cost

Costs for reconstructing a tighter turning radius are approximately $2,000 to $20,000 per corner, depending on site conditions (e.g., drainage and utilities may need to be relocated). Costs for reconstructing entrance and exit lanes on arterials or urban parkways are also dependent on site conditions.

Safety Effects

A summary of studies that have looked at the safety effects of redesigning the merge and weave area of a large intersection can be found here.

References

To view references for this countermeasure group click here.

Case Studies

Portland, Oregon
St. Petersburg, Florida
Columbia, Missouri